대구농수산물도매시장 이전사업, '예비타당성조사' 대상 선정
페이지 정보
작성자 관리자 댓글 0건 조회 11,061회 작성일 24-10-31본문
대구시가 추진하는 대구농수산물도매시장 현대화 사업이 31일 기획재정부의 제7차 재정사업평가위원회에서 예비타당성조사(예타) 대상으로 선정돼 첨단 도매시장 조성에 탄력을 받게됐다.
시는 2029년 착공해 오는 2032년 개장을 목표로 사업을 추진 중이며 지난 4월 농림축산식품부의 공영도매시장 시설현대화사업 공모에 이어 기재부의 예타 대상에 최종 포함된 성과다.
민선 8기 주요 공약으로 매천동에 위치한 농수산물도매시장의 하빈면 이전을 준비해왔으며, 9월 농식품부에 예타 검토를 요청한 바 있다.
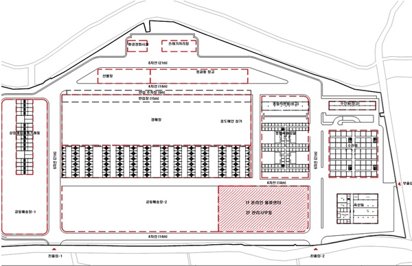
새롭게 조성되는 도매시장은 총 사업비 4460억 원(국비 1,004억 원, 지방비 3,456억 원) 규모로, 이용자 편의를 높이기 위한 첨단 물류 시설로 구축될 예정이다.
주요 시설로는 일방향 물류 동선, 공동선별장, 청과동 자동창고, 통합 경매장, 공동배송장, 온라인 물류센터 등이 포함된다. 이를 통해 물류 효율성을 개선하고, 스마트 물류체계를 도입해 최첨단 도매시장으로 발돋움할 계획이다.
매천동 도매시장은 현재 전국 3위 거래 규모를 자랑하며 한강 이남 농수산물 유통의 거점 역할을 해왔으나, 36년 경과된 시설 노후화로 인한 안전 문제, 비효율적 물류 동선, 초과거래로 인한 공간 부족, 쓰레기 악취 문제 등으로 근본적 개선이 요구되어 왔다.
김정섭 대구시 경제국장은 “이번 예타 대상 선정으로 도매시장 이전사업이 더욱 탄력을 받았다”며, “단순히 시설을 개선하는 데 그치지 않고 유통 환경 변화에 대응하는 혁신적 도매시장을 조성하겠다”고 전했다.
- 이전글경북도, BaaS 시험실증센터 기공식 개최 '배터리 신산업' 모델 기대 24.11.02
- 다음글경북도, '글로벌 제약기업 노바티스와 바이오·의료분야' 협력 MOU 체결 24.10.30
댓글목록
등록된 댓글이 없습니다.
